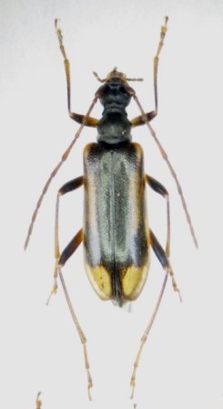
長野県上伊那郡宮田村木曽駒ヶ岳 alt.1,650~2,100m 21.ⅶ.2017
いやはや厳しかった!!!というのが採集後の印象である。往復16キロの道のりを登り下りしたのだが、もっぱら車横付け採集が主体となっていた昨今、併せて自らの年齢を鑑みても、さすがにこの行程はきつかった!と言うのが偽らざる本音である。
その地とは、私にとって最後に残された山塊とも言える中央アルプス。実にこの山塊の標本は一頭さえも持ち合わせていないと言う、私にとって無視することのできない重要な調査フィールドである。この中央アルプス、随分以前から一度は挑戦しなくては・・・と検討だけは何度も行ってみたのだが、ピドニアが主目的故、どうしても最低限フイリヒメハナの棲息ゾーンには届かなくてはならないのに、ご承知の通り実にそのゾーンへのアプローチのしづらい山塊なのだ(ケーブルで一気に行ける標高2,600mの千畳敷は論外)。ぐずぐずしていたら、本当に体力的にも行けなくなってしまう・・・かも。
かくして意を決した私は、実行の前日、近隣の採集地で軽くウォーミングアップを行いつつ、その日の夕刻には目的地の懐に入り込み、翌日は気合を入れて朝5時台から始動する。
まずは車で行けるところまでアプローチし、車を乗り捨ててからは暑くならない内にひたすら歩くのみ。それでもヤマブキショウマやオニシモツケがあると、つい虫を探して歩みを止めてしまう。
それがほどよい休憩となって順調に距離と標高を稼ぎ、やっと最低限と目していたポイントに辿り着いたのが朝8時頃(標高1,900m)。すでにけっこう暑いが、ここから更に深い針葉樹の森の中を突き進む。
やがて標高2,000m地点に差し掛かり、慎重にヤグルマソウやヤマブキショウマの花をチェックしながら進むと、ここでやっと待望のフイリヒメハナと遭遇。
そこから標高2,100m辺りまでが彼らの発生ゾーンとなっていたが、実はそれ以上のゾーンはまだ花が開花しておらず、これを潮時と判断してゆっくりと下山を始めたような次第。時に午前10時。決して個体数は多くはなかったが、やがて待望の黒っぽい♀もネットインしてくれたことと、とりあえずこの時季の中央アルプス産ピドニアが一通り(15種)採れたことで、少しは安堵した面持ちにて、またあの長く辛い道のりをトボトボと下って行ったのであった。
その日の内に帰宅する必要があったため、下山後は日帰り温泉で汗を流し去り、その後延々と高速道を走らせて無事帰宅したような次第(1泊2日で670km)。案の定帰宅後概ね三日間は足腰の筋肉痛で大変だったことを付記しておきたい・・・。
2017年7月21日の遭遇種
・ホソガタヒメハナ P.semiobscura
・ミヤマヒメハナ P.sylvicola
・シンシュウヒメハナ P.hayakawai
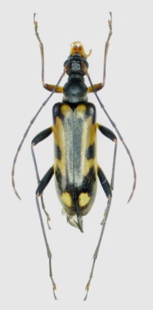
・オオバヤシヒメハナ P.limbaticollis ohbayashii
※標準体型の♂(左上)、♀の様な体型をした奇妙な♂(右上)、標準体型の♀(左下)
・マツシタヒメハナ P.matsushitai
・フイリヒメハナ P.signata
・カクムネヒメハナ P.orientalis
・ブービエヒメハナ P.bouvieri
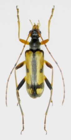
・ツマグロヒメハナ P.maculithorax
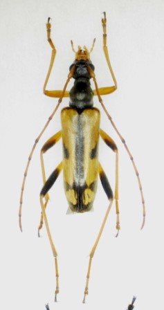
・オオヒメハナ P.grallatrix
※標準タイプの♂(左)と、S紋が消失した稀有なる♂(右)
・ヨコモンヒメハナ P.insuturata
・ムネアカヨコモンヒメハナ P.masakii
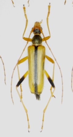
・オヤマヒメハナ P.oyamae
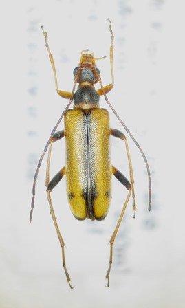
・チャイロヒメハナ P.aegrota
・ニセフタオビヒメハナ P.testacea
